Huracán Ida: miles de personas huyen a medida que la tormenta se acerca a Luisiana
Huracán Ida: miles de personas huyen a medida que la tormenta se acerca a Luisiana
T13 En Vivo
Los residentes de Luisiana se preparan para lo que puede ser una feroz tormenta precisamente en el aniversario del paso del huracán Katrina por Nueva Orleans hace 16 años.
Decenas de miles de personas huyen de ese estado sureño de Estados Unidos mientras el huracán Ida se acerca a sus costas.
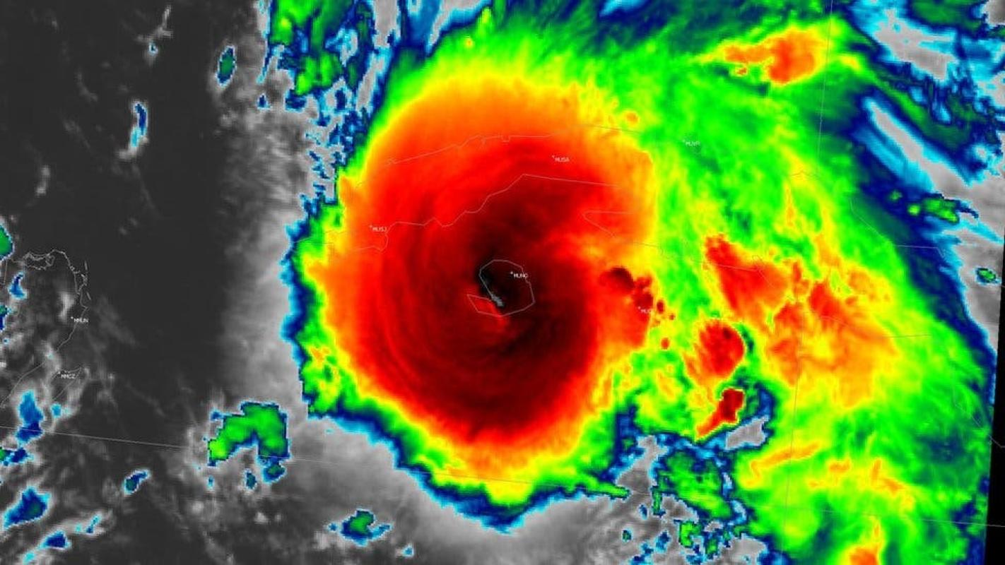
Se espera que Ida toque tierra en el golfo de México este domingo con vientos de 220 km/h y marejadas que pueden ser "una amenaza para la vida".
Las previsiones observan que Ida puede ser incluso más fuerte que el huracán Katrina que devastó gran parte de Nueva Orleans en 2005.
Atascos de tráfico colapsaron las autovías de salida de Luisiana, donde los residentes de múltiples áreas recibieron órdenes de evacuación.
El gobernador John Bel Edwards señaló que la tormenta puede ser una de las más grandes en golpear el estado en 150 años.
"Se les acaba el tiempo", advirtió a los residentes este sábado.
"Para cuando se vayan a la cama esta noche, necesitan estar allá donde vayan a pasar la tormenta y necesitan estar tan preparados como sea posible, porque el tiempo empezará a deteriorarse muy rápidamente mañana [por el domingo]".
El gobernador del estado vecino de Misisipi, Tate Reeves, declaró el estado de emergencia.
El presidente de Estados Unidos, Joe Biden, dijo que Ida se está convirtiendo "en una tormenta muy muy peligrosa" y anunció que el gobierno federal está listo para proveer ayuda.
El huracán se está intensificando sobre las cálidas aguas del golfo de México, lo que hizo que subiera de categoría 2 a una extremadamente peligrosa tormenta de categoría 4.
Se espera que vientos con fuerza de tormenta tropical atraviesen Luisiana desde la mañana del domingo.
Aniversario de Katrina
Se da la causalidad de que este domingo se cumplen 16 años del huracán Katrina que golpeó Nueva Orleans como huracán de categoría 3.
Katrina inundó el 80% de la ciudad y causó más de 1.800 muertos.
"Estoy absolutamente devastada al pensar en aquellas comunidades bajo órdenes de evacuación obligatoria", le dijo a la BBC Alessandra Jerolleman, experta en gestión de emergencias en la Universidad Tulane de Nueva Orleans, mientras huía en su auto.
"Se anticipan daños catastróficos y sustanciales, se prevé que haya inundaciones y se perderán vehículos".
Más de 80 torres de perforación del golfo de México fueron evacuadas y la mitad de la producción de gas y petróleo de la región se ha suspendido.
Paso por Cuba
Previamente, Ida pasó por Cuba, arrancando árboles y causando destrozos en tejados, mientras que Jamaica sufrió fuertes lluvias. No hubo informes de muertos.
El impacto del cambio climático en la frecuencia de las tormentas todavía no está claro, pero las temperaturas en aumento de la superficie de los mares calientan el aire sobre ellos y hacen que haya más energía disponible para impulsar huracanes, ciclones y tifones.
Como resultado, estos fenómenos tienden a ser más intensos con lluvias más extremas.
Expertos dicen que si las marejadas golpean en un momento que coincida con la marea alta, el nivel del mar puede sobrepasar el sistema de diques de Nueva Orleans e introducirse en la ciudad.



