Dorian: los récords que hacen al huracán uno de los "más intensos y catastróficos"
Dorian: los récords que hacen al huracán uno de los "más intensos y catastróficos"
T13 En Vivo
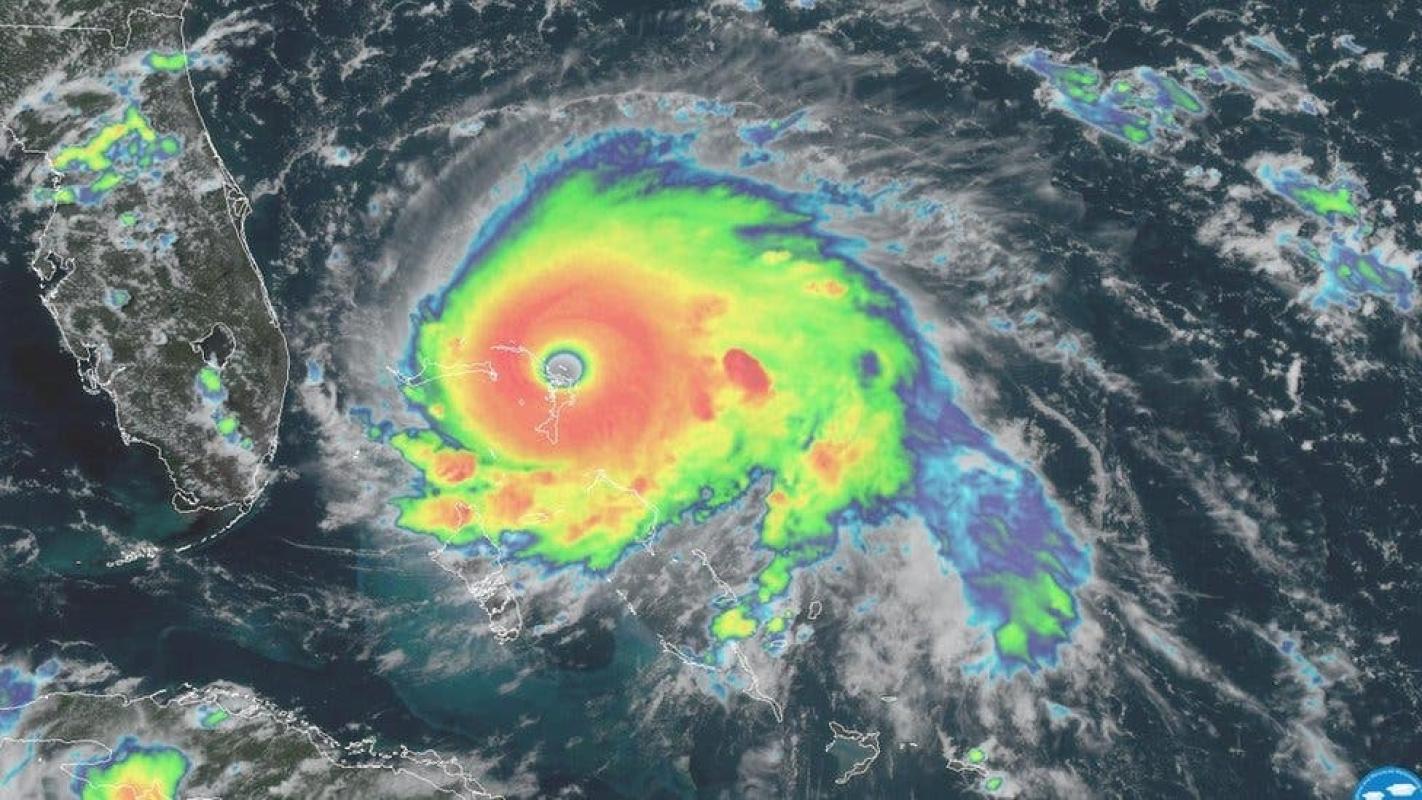
Dorian envuelve a Bahamas con una estela terrible de destrucción.
El huracán, el más intenso que se ha formado en el mundo en lo que va de año, alcanzó el máximo en la categoría de Saffir-Simpson, (que llega hasta 5) este domingo, poco antes de impactar la islas Ábaco, en el noreste del archipiélago.
Pese a tocar tierra, el ciclón continúo intensificándose y la fuerza de sus vientos a las 21:00 GMT del domingo llegaban a los 297 km/h, según el Centro Nacional de Huracanes (CNH, por sus siglas en inglés) de Estados Unidos.
Dorian se estaba moviendo a una velocidad muy lenta: apenas 7 km/h, lo que implica que sus potenciales daños serán mayores, dado que los fuertes vientos permanecerán sobre los mismos lugares por más tiempo.
Los meteorólogos han señalado que alguna de sus características lo ubican ya entre los más "más intensos y potencialmente catastróficos" desde que se tienen registros.
Y aunque no existe consenso entre los científicos si el rango de peores huracanes debe medirse por en términos de velocidad del viento, tamaño, cantidad de lluvia, consecuencias económicas, presión barométrica o número de personas afectadas o muertas, en términos técnicos, ya Dorian venció a algunas tormentas de otras temporadas.
En BBC Mundo te contamos algunos records que ya ha marcó este ciclón.
El más intenso en tiempos modernos en tocar tierra en todo el Atlántico
Desde 1935, un ciclón estableció un récord que nunca más se había roto o empatado...hasta este domingo.
Ocurrió, casualmente, por estas fechas: se le conoce como el huracán del Labor Day (Día del Trabajo, Estados Unidos) por el día el que llegó a ese país.
El ciclón registró la mayor fuerza de sus vientos máximos sostenidos al tocar tierra: 295 km/h y desde entonces pasó a los libros de historia.
Ahora, Dorian lo ha empatado por primera vez en 84 años: cuando alcanzó la isla Gran Abaco en Bahamas tenía esa misma fuerza de vientos.
El más intenso en llegar al noroeste del Caribe
Antes de tocar tierra en Gran Abaco, Dorian también impactó Elbow Cay en Bahamas con vientos máximos sostenidos de 289 km/h.
Según el CNH, es la mayor fuerza que había alcanzado alguna tormenta antes de tocar el archipiélago en la historia moderna.
De hecho, nunca antes, desde que se tienen registros, un huracán categoría 5 había golpeado las islas Ábaco.
Las redes sociales de Bahamas, que no recibía un huracán desde 2017, cuando María e Irma dejaron daños menores, comenzaron a dar testimonio de los estragos.
El record anterior para esa zona lo había dejado el huracán Irma en 2017, que golpeó Barbuda, San Martín y las Islas Vírgenes Británicas con vientos de 289 km/h.
Pero la fuerza de sus vientos también lo colocó en un lugar especial en libro de los récords.
De los peores desde 1980
Cuando el avión de reconocimiento detectó en la tarde del domingo la intensidad de los vientos alrededor del ojo de Dorian rondaban casi los 300 km/h.
Esto no solo lo convirtió en el huracán más intenso en el Atlántico desde 1980, sino también en el segundo con mayor fuerza de sus vientos desde que se tienen registros, junto a los Gilbert, en 1988 y Wilma (2005), que también llegaron a los 297 km/h.
El huracán Allen, que a cerca de la frontera entre Estados Unidos y México, tiene el récord de vientos máximos sostenidos: 305 km/h.
Pero no queda ahí: los vientos de Dorian son los más fuertes jamás observados hasta ahora en al este de Florida, en el norte del Océano Atlántico, según el meteorólogo Philip Klotzbach.
Otro récord de presión
Para los que siguen la meteorología, la presión central de los ciclones es uno de los datos más interesantes que puede ofrecer cualquier medición.
Y es que en el ojo de la tormenta, la presión atmosférica suele ser menor que en el resto del planeta, pero mientras más baja sea, mayor será su intensidad.
Esto se debe a que a menor presión, mayor serán las fuerzas de los vientos.
Dorian ya también se encuentra en la lista de los huracanes que han tocado tierra con menor presión atmosférica desde que se tiene registro.
Cuando golpeó Bahamas este domingo, su presión central ascendió a 910 hectopascales, una cifra menor incluso que la que tenía el huracán Andrew cuando devastó Florida en 1992.
El huracán del Labor Day de 1935 ostenta, sin embargo, el récord máximo de presión al tocar tierra: 892 hectopascales.


